REQUEST A TOUR If you would like to see this home without being there in person, select the "Virtual Tour" option and your agent will contact you to discuss available opportunities.
In-PersonVirtual Tour

$ 310,000
Est. payment | /mo
$ 310,000
Est. payment | /mo
Key Details
Property Type Vacant Land
Sub Type Freehold
Listing Status Active
Purchase Type For Sale
MLS® Listing ID 1289064
Property Sub-Type Freehold
Source Newfoundland & Labrador Association of REALTORS®
Property Description
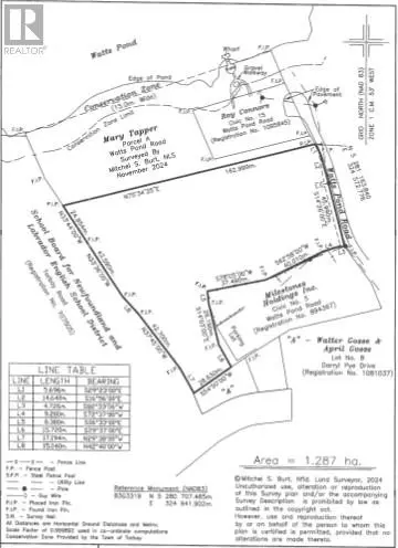
This 3.18-acre parcel of land on Watts Pond Road in Torbay presents a rare opportunity for either residential or possible community-oriented development (an additional 2 acre adjacent lot also available to make a total of approximately ~5 acres)! The land is relatively flat and offers 66.72 feet of frontage along Watts Pond Road, providing easy access and great visibility. The portion of the property fronting on the road is zoned for residential use, an opportunity to build your dream home or for subdivision into two residential lots! The back of the land, which is heavily wooded adding protected privacy, borders Juniper Ridge Intermediate School which offers unique potential for community-focused development or future growth. With mixed zoning, this property offers flexibility for a variety of uses, making it an attractive option for investors, developers, or those seeking a large, private lot in a picturesque setting. (id:24570)
Location
Province NL
Rooms
Kitchen 0.0
Exterior
Parking Features No
View Y/N No
Private Pool No
Building
Sewer No sewage system
Others
Ownership Freehold
GET MORE INFORMATION







