REQUEST A TOUR If you would like to see this home without being there in person, select the "Virtual Tour" option and your agent will contact you to discuss available opportunities.
In-PersonVirtual Tour

$ 185,000
Est. payment | /mo
2 Acres Lot
$ 185,000
Est. payment | /mo
2 Acres Lot
Key Details
Property Type Vacant Land
Sub Type Freehold
Listing Status Active
Purchase Type For Sale
Subdivision Grandview Estates
MLS® Listing ID A2263225
Lot Size 2.000 Acres
Acres 2.0
Property Sub-Type Freehold
Source Central Alberta REALTORS® Association
Property Description
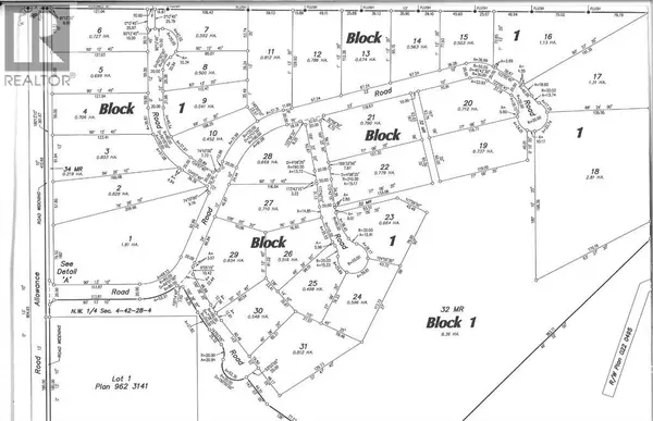
Welcome to one of Gull Lake's perhaps finest country home development. Grandview Estates. Boasting an upscale architecturally controlled subdivision that is intertwined amongst 30 acres of environmental reserve featuring established walking trails, abundant wildlife, local history. The view is so amazing that it is better described as an experience. Every lot boasts a spectacular view of the lake; some views encompass the entire length of Gull Lake. Imagine closing every single day with yet another uniquely pleasing sunset. Boat access is 5 minutes away at the Raymond Shores public boat launch. Taxes have not been assessed yet. Grandview Estates is a 31 lot acreage subdivision with acreages ranging from 1 to 6 acres in size and prices ranging from $85,000 to $275,000 (id:24570)
Location
Province AB
Rooms
Kitchen 0.0
Exterior
Parking Features No
Fence Not fenced
View Y/N No
Private Pool No
Others
Ownership Freehold
Virtual Tour https://www.grandviewestatesgulllake.com/
GET MORE INFORMATION







